路面の摩耗・形状測定
-
商品カテゴリ:
- レーザ変位計 / 3Dセンサ / 寸法測定器
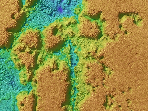
外乱光の影響を受けにくいレーザスキャン方式を採用しているLJ-S8000シリーズは、製品の検査だけでなく、屋外でのデータ解析にも用いられています。センサヘッド+PCでのデータ収集も可能で、設置するだけで簡単に路面形状などの広範囲3Dデータが取得できます。
3D画像
2Dプロファイル
商品カテゴリ:
外乱光の影響を受けにくいレーザスキャン方式を採用しているLJ-S8000シリーズは、製品の検査だけでなく、屋外でのデータ解析にも用いられています。センサヘッド+PCでのデータ収集も可能で、設置するだけで簡単に路面形状などの広範囲3Dデータが取得できます。
3D画像
2Dプロファイル